S T O C K P R O X X
Đăng nhập / Đăng ký

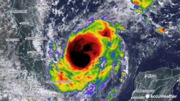
Siêu bão Milton

Chưa từng có trong lịch sử: Siêu bão mạnh nhất hành tinh khiến hơn 5 triệu người buộc sơ tán, ông Biden phải hoãn công du để chỉ đạo khẩn cấp

Chưa từng có trong lịch sử: Siêu bão mạnh nhất hành tinh khiến hơn 5 triệu người buộc sơ tán, ông Biden phải hoãn công du để chỉ đạo khẩn cấp

Bão Milton dự báo sẽ đổ bộ vào Florida vào đêm muộn 9/10 hoặc sáng sớm 10/10, gây ra tình trạng nước biển dâng cao từ 3-4,5 m tại nhiều khu vực của Vịnh Tampa, cùng với lượng mưa vượt 250mm và nguy cơ lũ quét nghiêm trọng.

Tổng thống Biden cân nhắc hủy chuyến thăm Đức vì siêu bão Milton đe dọa nước Mỹ

Tổng thống Biden cân nhắc hủy chuyến thăm Đức vì siêu bão Milton đe dọa nước Mỹ

Các trợ lý Nhà Trắng không loại trừ khả năng Tổng thống Joe Biden thay đổi kế hoạch thăm Đức khi siêu bão Milton tiến về bờ biển phía tây Florida.

Cơn bão khốc liệt nhất trong trong 100 năm qua: tăng cấp sốc, chuyên gia bật khóc trên sóng truyền hình, kêu gọi hàng triệu người sơ tán khẩn cấp

Cơn bão khốc liệt nhất trong trong 100 năm qua: tăng cấp sốc, chuyên gia bật khóc trên sóng truyền hình, kêu gọi hàng triệu người sơ tán khẩn cấp

Siêu bão Milton, dự kiến sẽ đổ bộ vào Florida (Mỹ) vào sáng thứ Tư (9/10), đã đạt tới cấp 5, cấp cao nhất và được đánh giá có sức tàn phá lớn hơn cả bão Helene.